Domov / Projekti / Projektiranje nizkih gradenj / Ureditev krožišča na regionalni cesti R3 635 – Boštjanova ulica v Lescah

Ureditev krožišča na regionalni cesti R3 635 – Boštjanova ulica v Lescah

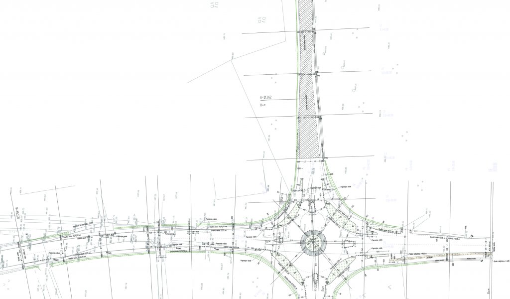
V sklopu rekonstrukcije regionalne ceste R3 635 je bila predvidena predelava montažnega krožišča v stalno. Ker montažno krožno križišče ni bilo v skladu s tehničnimi zahtevami in zakonodajo na področju projektiranja in gradnje cest, je potrebno izvesti celovito rekonstrukcijo krožišča. Poleg preureditve krožišča je bilo potrebno v območju obdelave navezati površine za kolesarje in pešce na novo predvideno stanje ter urediti individualne priključke.

Naša ekipa je za naročnika izvedla:

  • zasnovo projektne rešitve s poudarkom izboljšanja prometne varnosti in ureditvijo površin za pešce in kolesarje,
  • vodenje projekta in
  • izdelavo projektne dokumentacije gradbenih del.
  • Datum 2018 - 2019
  • Stranka Občina Radovljica
  • Status izvedeno
  • Lokacija Lesce, Slovenija