Domov / Projekti / Ureditev krožišča TOMI v Portorožu

Ureditev krožišča TOMI v Portorožu

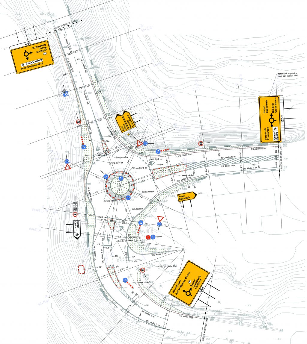
Na podlagi spremljanja in opazovanja prometa po preureditvi slabo kanaliziranega in nepreglednega križišča v montažno krožno križišče v Portorožu, je bilo potrebno v obstoječih gabaritih ceste in montažnega krožnega križišča le to urediti v fiksno krožno križišče.

Naša ekipa je za naročnika izvedla:

  • zasnovo projektne rešitve s poudarkom izboljšanja prometne varnosti in kanaliziranjem križišča,
  • vodenje projekta in
  • izdelavo projektne dokumentacije gradbenih del.
  • Datum 2017
  • Stranka Direkcija Republike Slovenije za infrastrukturo
  • Status izvedeno (Faza. PZI)
  • Lokacija Portorož, Slovenija